Primăria Botoșani a semnat contractul pentru execuția lucrărilor în cadrul proiectului „Susținerea transportului alternativ prin realizarea unui circuit de piste de biciclete”. Ordinul de începere a lucrărilor a fost deja emis, iar proiectul are un buget de 14 milioane de lei, finanțat prin Planul Național de Redresare și Reziliență (PNRR).
Traseele pistelor de biciclete
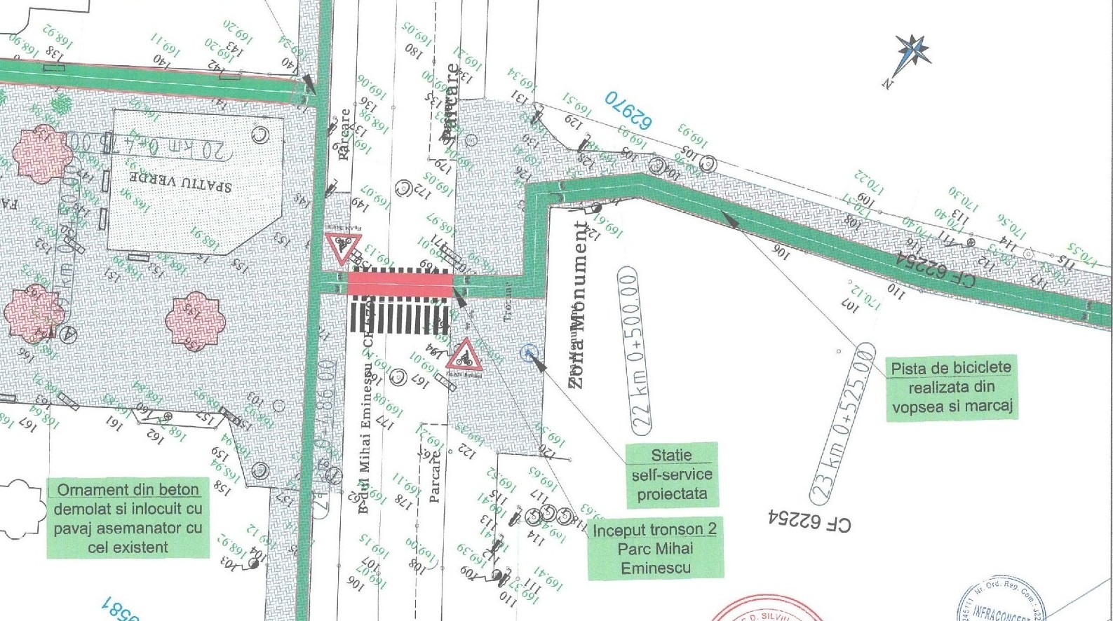
Municipiul Botoșani va beneficia de 10 kilometri de piste, uni sau bidirecționale, marcate corespunzător și amenajate în zona trotuarelor. Acestea vor fi realizate pe următoarele trasee:
- Traseul 1: Bulevardul Mihai Eminescu (intersecția cu Șoseaua Iașului) – Strada Sucevei
- Traseul 2: Pietonalul Unirii – Parcul Mihai Eminescu – Str. Vârnav – Aleea Scipione Bădescu – Str. Primăverii – Str. Octav Onicescu – Str. Pacea
- Traseul 3: Bulevardul George Enescu (intersecția cu Bulevardul Mihai Eminescu) – Str. Pacea – Str. Sucevei – Parc Cornișa
Pe aceste trasee vor fi amplasate 15 locații cu rastele pentru biciclete și 15 stații self-service pentru reparații și întreținere.
Schimbări în zona Pietonalului Unirii
Pentru siguranța pietonilor și bicicliștilor, în zona Pietonalului Unirii vor fi demolate construcțiile destinate aranjamentelor florale, iar sistemul rutier va fi refăcut. În locul acestora, se vor planta arbuști ornamentali în ghivece mari și jardiniere. De asemenea, fântânile arteziene vor fi reabilitate, fără a fi demolate.
„Pistele de biciclete vor fi amenajate pe marginea Pietonalului, pe partea stângă, pe sensul cu Muzeul Județean. Vom reloca și băncile de odihnă, astfel încât pista să fie în spatele acestora, pentru siguranța bicicliștilor și pietonilor”, a declarat primarul Cosmin Andrei.
Constructorul și termenul de finalizare
Licitația publică a fost câștigată de SC CORNELL’S FLOOR SRL, iar termenul de finalizare a lucrărilor este de 12 luni de la data înscrisă pe ordinul de începere.

